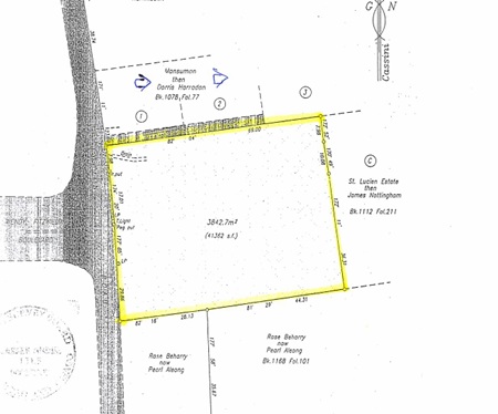
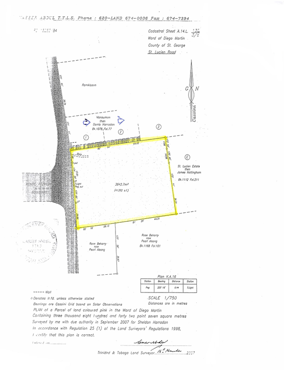
The parcel is prominently located at the corner of St. Lucien Rd and Wendy Fitzwilliam Blvd and comprises 41,362 sq. ft. Roughly rectangular in shape, and slopes moderately upwards from the adjoining road level. There is a terraced part comprising approximately 12,000 sq. ft. to the front which is suitable for building. There is no known history of flooding. It is noteworthy that there is a 4-foot wide by 4-foot deep concrete drain which passes through the property near the north-western corner. The essential services of water, electricity, sewerage and telephone are readily available.
For Sale
LP 38 St. Lucien Road, corner Wendy Fitzwilliam Blvd
, Diego Martin , Trinidad and Tobago
$1,800,000
- Lot Size41,362 Sq Ft
- Type7. LAND, Plot
- Property ID #HHL-20260420-002

4 days ago
